By Don Hensley

The
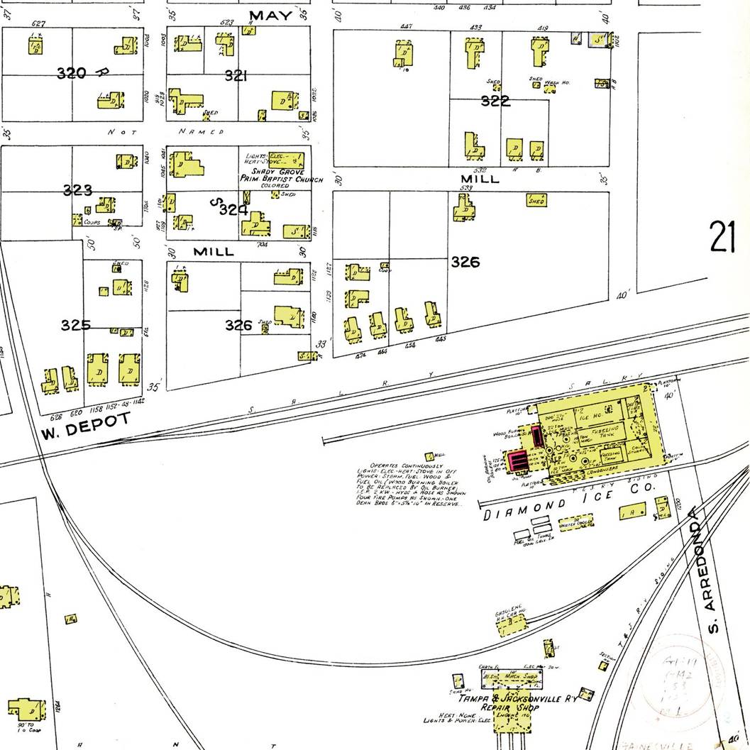
following three images cover theGainesville Shops and Wye.
Here the shops are inside the wye, much like its sister road the Tavares &
Gulf down in Tavares.
On
the bottom is the main line towards Micanopy, Fairfield and Emathla.
At
the top the mainline crosses parent Seaboard Air Line on its way north through
town.



North
of the shops in Gainesville proper was the business district.

Further
North and out of town was the peanut factory and cotton seed plant shown below.

Now we head south.
This shows the crate mill at Irvine.
Note the stacks of crates and hampers for
citrus and vegetables.

At the end of the line was the phosphate mine
at Emathla.
Note the tailing plumes across the
tracks.
The mining pits are out of picture to the
north west.

For the all time Locomotive Roster
Click Here
For more pictures of # 60 in 1941
Click Here
For photos of the surviving
Micanopy Depot Click Here
To
return to the Grits & Gravy, the Story of the Gainesville & Gulf, Click
Here