Taplines - Short Line and Industrial Railroading in the South

FLORIDA SOUTHERN RAILWAY
OCALA MAPS
ALL MAPS FROM THE U OF FLORIDA
click to go to their site

GENERAL LAYOUT IN OCALA
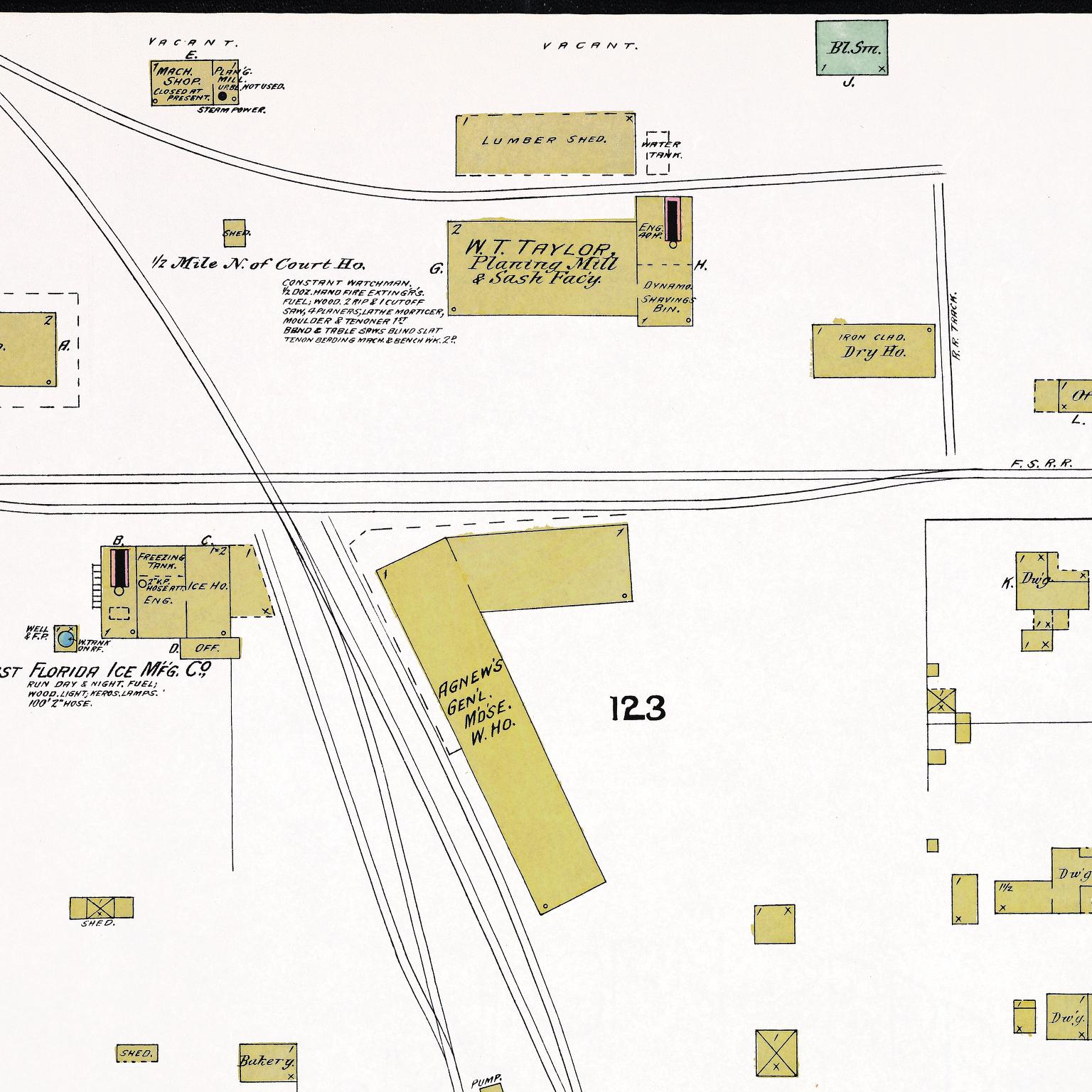
1891 at the Crossing
1891 at the Hotels


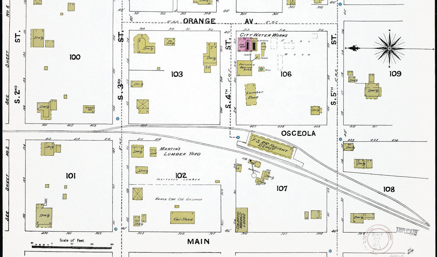
1891 at the Depot




Return to Florida Southern
Return to Taplines